Identify by color Common name index Scientific name index Taxonomy index

Persicaria posumbu

Common name: Asian lady's-thumb


Persicaria posumbu
Persicaria posumbu


Wildflower Information for Persicaria posumbu
Common name(s) Asian lady's-thumb
Family Polygonaceae (Smartweed family)
Flowers color: pink   petals: five
Leaves alternate
Lifecycle annual
Peak bloom period August
Origin introduced from East Asia

Persicaria posumbu
Persicaria posumbu

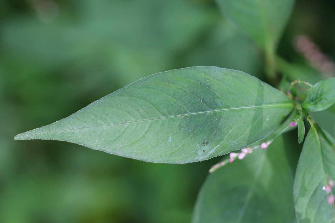
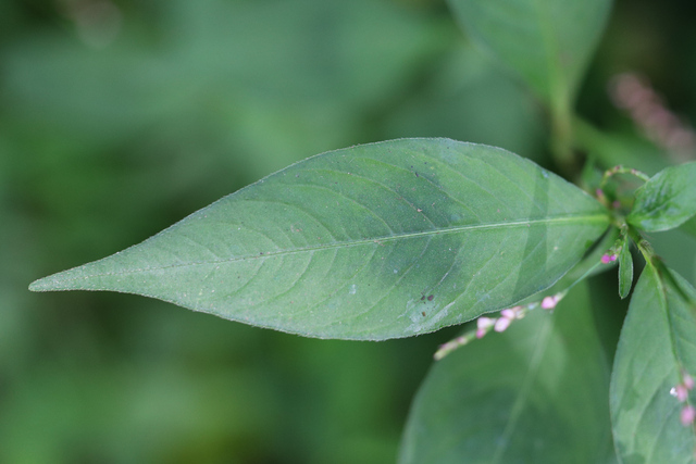
Persicaria posumbu - leaves
Persicaria posumbu - leaves

Persicaria posumbu - leaves
Persicaria posumbu - leaves

Persicaria posumbu - leaf underside
Persicaria posumbu - leaf underside

Persicaria posumbu - stem
Persicaria posumbu - stem

Persicaria posumbu - plant
Persicaria posumbu - plant

Persicaria posumbu - plant
Persicaria posumbu - plant