Identify by color Common name index Scientific name index Taxonomy index

Persicaria arifolia

Common name: Halberd-leaf tearthumb


Persicaria arifolia
Persicaria arifolia


Wildflower Information for Persicaria arifolia
Common name(s) Halberd-leaf tearthumb
Family Polygonaceae (Smartweed family)
Flowers color: white, pink   petals: four
Leaves alternate
Lifecycle annual or perennial
Peak bloom period August to September
Origin native

Persicaria arifolia
Persicaria arifolia

Persicaria arifolia
Persicaria arifolia

Persicaria arifolia
Persicaria arifolia

Persicaria arifolia
Persicaria arifolia

Persicaria arifolia
Persicaria arifolia

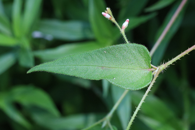
Persicaria arifolia - leaves
Persicaria arifolia - leaves

Persicaria arifolia - leaves
Persicaria arifolia - leaves

Persicaria arifolia - leaves
Persicaria arifolia - leaves

Persicaria arifolia - upper leaves
Persicaria arifolia - upper leaves

Persicaria arifolia - stem
Persicaria arifolia - stem