Identify by color Common name index Scientific name index Taxonomy index

Desmodium viridiflorum

Common name: Velvet-leaf tick-trefoil


Desmodium viridiflorum
Desmodium viridiflorum


Wildflower Information for Desmodium viridiflorum
Common name(s) Velvet-leaf tick-trefoil
Family Fabaceae (Legume family)
Flowers color: pink   petals: pea
Leaves alternate
Lifecycle perennial
Peak bloom period mid-August to mid-September
Origin native

Desmodium viridiflorum
Desmodium viridiflorum

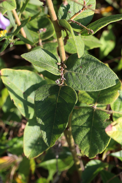
Desmodium viridiflorum - leaves
Desmodium viridiflorum - leaves

Desmodium viridiflorum - leaves
Desmodium viridiflorum - leaves

Desmodium viridiflorum - leaves
Desmodium viridiflorum - leaves

Desmodium viridiflorum - leaf underside
Desmodium viridiflorum - leaf underside

Desmodium viridiflorum - leaf underside
Desmodium viridiflorum - leaf underside

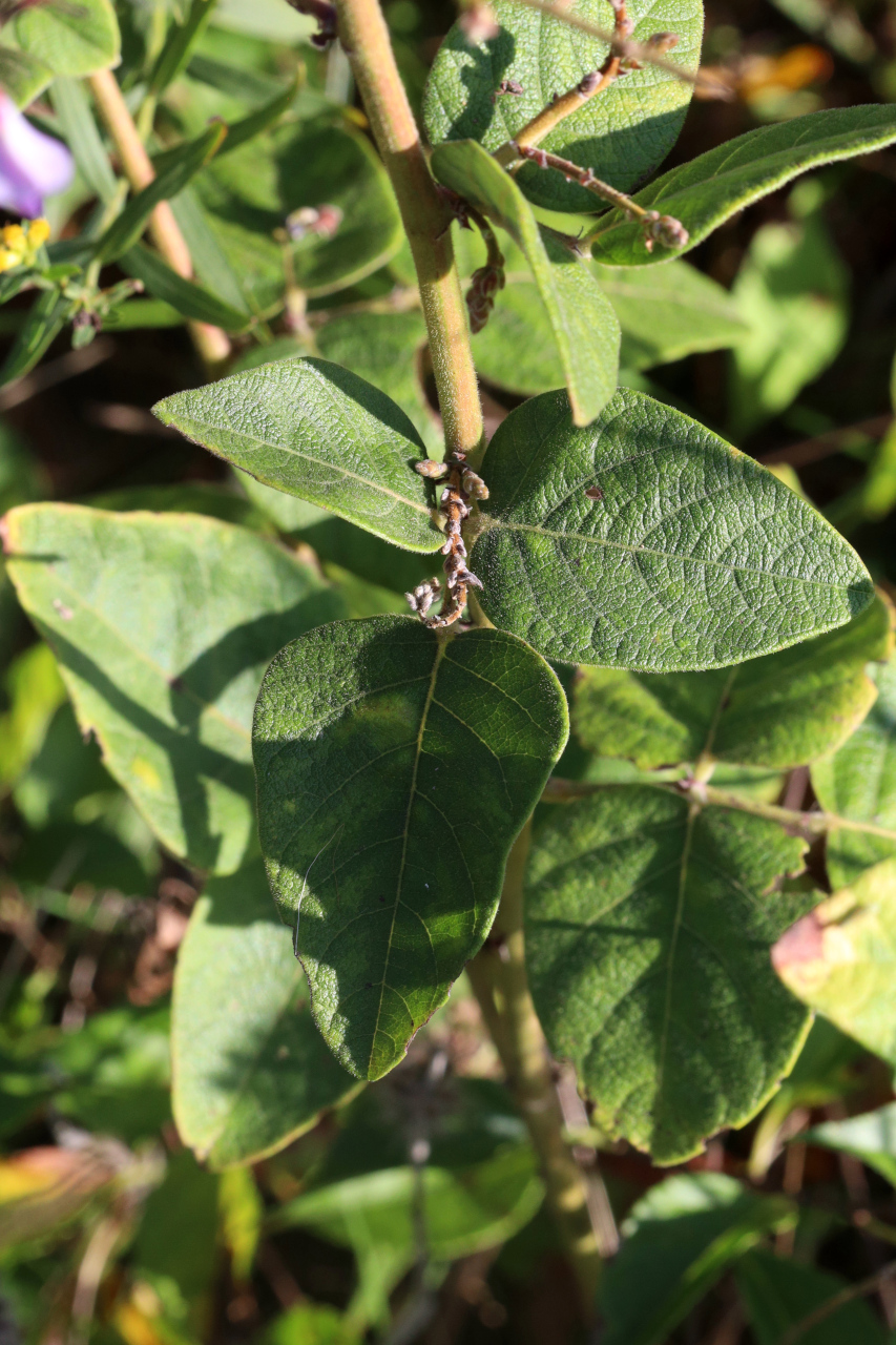
Desmodium viridiflorum - stem
Desmodium viridiflorum - stem

Desmodium viridiflorum - stem
Desmodium viridiflorum - stem

Desmodium viridiflorum - fruit
Desmodium viridiflorum - fruit